Marsa Tondoba is a protected natural bay located just 14 km south of Marsa Alam. This shore-accessible site is famous for its shallow seagrass beds, calm conditions, and rich marine life, making it a top choice for beginners, underwater photographers, and dive training.
Thanks to its enclosed structure and soft sandy entry, Marsa Tondoba is often used as a training and check-dive location, but it surprises divers with its ecological variety, including opportunities to see turtles, dugongs, and reef fish in one relaxing dive.
| Feature | Details |
|---|---|
| Location | ~14 km south of Marsa Alam town |
| Dive Type | Shore dive (natural bay) |
| Entry Point | Sandy beach, lagoon-style entry |
| Depth Range | 1 to 20 meters |
| Visibility | 15 to 25 meters |
| Skill Level | Beginner to intermediate |
| Current Conditions | Very mild to none |
| Topography | Seagrass meadows, sand slopes, coral reef patches |
| Marine Highlights | Turtles, dugongs, octopus, lionfish, pipefish, coral fish |
| Best Time to Dive | Year-round; ideal light between 9 AM – 2 PM |
| Recommended Gear | Booties, dive computer, camera for macro & wide-angle |
| Ideal For | Training, relaxing dives, macro life, eco-diving |
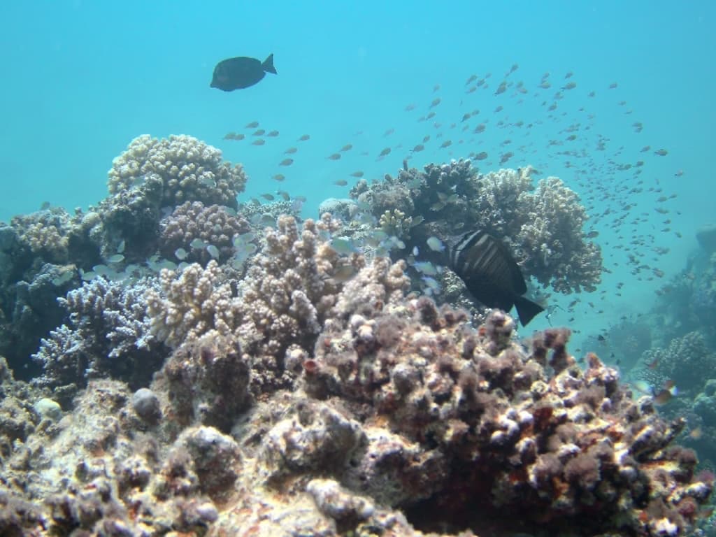
🏞 Dive Site Features & Topography
Marsa Tondoba offers one of the most diver-friendly terrains in the southern Red Sea. Its gently sloping sandy bottom leads into seagrass beds and coral patches, all within a sheltered bay protected from waves and wind.
Entry: Soft sandy beach perfect for walk-in shore dives
Lagoon Area: Extremely shallow, ideal for buoyancy practice and dive courses
Southern Side: Hosts coral bommies and hard coral clusters along the bay’s slope
Seagrass Fields: Stretch across the bay, attracting turtles and rare species like the elusive dugong
Max Depth: ~20 meters, perfect for long, relaxed dives
This topography makes Marsa Tondoba the perfect spot for scuba certifications, refresher dives, and photographic exploration.

🐟 Marine Life at Marsa Tondoba – What You’ll Discover Underwater
Marsa Tondoba is a biological hotspot, especially for macro photographers and nature lovers:
Dugongs & Turtles: Seagrass attracts endangered dugongs and green sea turtles
Macro Life: Pipefish, ghost pipefish, nudibranchs, seahorses, and shrimps
Reef Life: Clownfish, lionfish, parrotfish, triggerfish, scorpionfish
Night Life: Octopus, sleeping parrotfish, and Spanish dancers during night dives
Coral Patches: Home to various soft and hard coral species
Even though it’s a relatively shallow site, the abundance of life here often rivals deeper, more remote locations.
🌤 Diving Conditions & Best Practices
Marsa Tondoba is known for its calm, predictable conditions, ideal for beginner divers and training courses.
Visibility: 15–25 meters, depending on weather and seagrass bloom
Currents: Usually absent or extremely mild
Water Temperature: Ranges from 22°C in winter to 29°C in summer
Dive Duration: Long bottom times due to shallow depth and low air consumption
Eco Tips: Don’t kick up sand in the seagrass areas; use reef-safe sunscreen
With Deep South Divers, you’ll always dive with trained guides who know the best spots for marine encounters and safe entry.

⭐ Why Choose Marsa Tondoba with Deep South Divers?
Whether you’re looking for your first open water dive, a peaceful site to test new gear, or an eco-focused location for wildlife photography, Marsa Tondoba checks every box.
Key Reasons to Dive Marsa Tondoba:
✅ Perfect for beginners, families, and kids
✅ Reliable training ground for certifications
✅ Dugong and turtle sightings are possible
✅ Excellent macro and wide-angle photo opportunities
✅ Very short drive from Marsa Alam town
At Deep South Divers, we offer personalized guidance, flexible dive times, equipment rental, and environmentally responsible dive practices to make your Marsa Tondoba experience safe, relaxing, and memorable.
🧭 Ready to Dive Marsa Tondoba?
📍 Book your next dive with Deep South Divers in Marsa Alam and discover the peaceful beauty of Marsa Tondoba. Whether it’s your first breath underwater or your 100th logged dive, this calm marine haven offers something special every time.






